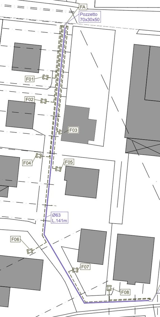
Salve, da qualche mese hanno iniziato i lavori per la posa della fibra ottica per conto di FiberCop per la zona armadio 46100D_05. Qualche anno fa hanno rifatto la strada (privata) con le fognature nuove e hanno posato dei corrugati, uno per ogni abitazione(50mm) e uno per una dorsale da 63mm come predisposizione. Quando l'azienda (per conto di Fibercop) ha provato a far passare la sonda all'interno dei corrugati, la sonda si è bloccata dopo un po' di metri, che variano in base al corrugato scelto. Qualche giorno fa ho provato con l'azienda che aveva fatto i lavori anni fa e sono riusciti ad entrare per massimo 50/60 metri da entrambe le parti, ciò prova che il corrugato (per casa mia) non è ostruito. Ad occhio la lunghezza del corrugato che porta a casa mia è di 90/100 metri. Richiamata l'azienda che posa per conto di fibercop, mi hanno detto che se non c'è un modo semplice di tirare la sonda purtroppo non possono fare nulla e dovranno saltare la parte di via (8 abitazioni con più famiglie per ogni abitazione). Ho provato anche a suggerire di usare uno strumento che spara il tubo di plastica che conterrà la fibra ottica con l'aria compressa, in quanto consigliato da un'azienda che fa questo tipo di lavori, ma mi è stato risposto che non è possibile e che non è una cosa che si fa. Il civico è Via Paganella 41, 38015 Lavis (TM). Allego anche la planimetria dei corrugati. Volevo chiedere aveste qualche idea per risolvere il problema grazie. Ho provato a scrivere a LoreBlack su telegram ma non risponde, immagino dato il periodo che sia in ferie/occupato.
